Ons kantoor is lid van Baerz & Co luxury homes; een Nederlands platform dat exclusieve woningmakelaars met elkaar verbindt. Voor meer informatie over ons landelijke aanbod en dienstverlening kunt u contact opnemen met ons secretariaat.

WILNIS
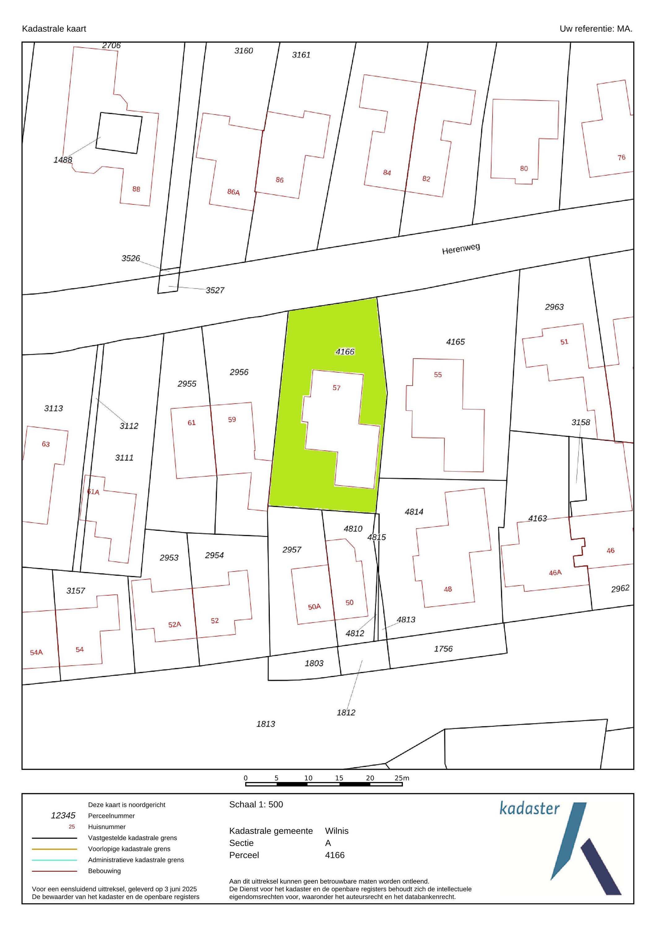
Herenweg 57 - 3648 CB
Netherlands

Johan van Brussel profile image
Johan van Brussel
Real Estate Agent
€1,195,000 k.k.
Living Area
217m2
Plot Size
546m2
Bedrooms
7

Description

A unique opportunity on the charming Herenweg in Wilnis, nestled within the characteristic ribbon development, where a detached villa awaits — a home rarely found on the market. This traditionally built and excellently maintained villa is situated on a generous plot and accessed via a private, wide bridge, immediately providing a sense of privacy and exclusivity. Surrounded by water at the front and side, this property offers year-round enjoyment of peace, space, greenery, and stunning views.**

Upon entering, the abundance of natural light and spaciousness immediately stand out. Large windows create a seamless connection between indoors and outdoors, allowing sunlight to flood the living areas. The living room is generously sized and, together with the cosy fireplace, forms the perfect place to relax. Adjacent is the atmospheric kitchen-diner — a true family space where cooking and spending time together go hand in hand. The villa features no fewer than seven bedrooms, spread over several floors, making it ideal for large families, those working from home, or anyone simply seeking ample living space. A unique feature is the presence of two bathrooms, one of which is located on the ground floor, adjacent to a spacious bedroom. This is ideal for single-level living, hosting guests, or creating a practice space with private sanitary facilities. The second bathroom, located on the first floor, also offers plenty of comfort for daily use. A large basement adds extra functionality to the home and can serve as a pantry or wine cellar.

Outside, the spacious driveway accommodates up to four cars, and the garage is easily accessible. Sustainability has also been taken into account: the villa is fully insulated, fitted with 29 solar panels, and equipped with an electric vehicle charging point.

The entire plot is underpinned, except for a small patch of lawn at the front and a narrow strip beside the garage, ensuring a stable and solid foundation. The grounds provide plenty of space around the house, offering possibilities for sunny terraces, a vegetable garden, or a playground for children. This villa combines a rural setting with modern amenities, making it a rare and complete offering in the Groene Hart region. Here, tranquillity, space, comfort, and sustainability come together naturally — a home you truly must experience to appreciate.

Layout of the villa:

GROUND FLOOR
A private, wide bridge provides access to the underpinned driveway with parking space for four cars. The entrance features a covered porch by both the front door and the garage, allowing you to enter the house dry and sheltered. The attached garage is equipped with electricity, heating, and a skylight for additional natural light — ideal as a hobby space or workshop.

Upon entering the house, the spacious and tall staircase immediately catches the eye. Thanks to the large skylight above the stairwell, this central and highly representative hallway is remarkably bright. The hall offers a practical cloakroom, the meter cupboard, and a spacious toilet with a washbasin. From the hall, you enter the living room. This L-shaped living room is located at the front of the house and offers beautiful views of the front and side garden through the many low windows. A charming wood-burning stove (Dick Geurts) forms the cosy heart of the room. To the side is a delightful bay window with double doors leading to a decked terrace by the water — a perfect place to unwind.

Double doors lead to the spacious kitchen-diner, designed with functionality and style in mind. A central cooking island with induction hob and integrated extractor, ample drawers, and workspace, along with an additional countertop with sink and Quooker. The adjacent tall cabinet wall houses luxurious built-in appliances, including a combination steam oven/microwave, coffee machine, large oven, sliding fridge, dishwasher, vacuum, and warming drawer. The Siematic kitchen features Miele built-in appliances from 2018. Naturally, there is also ample space for a large dining table, with French doors (fitted with insect screens) opening onto the sunny rear garden. An awning provides additional comfort.

From the kitchen, there is access to a deep, dry basement with full standing height — perfect as a pantry or wine cellar. The practical utility room is adjacent to the kitchen, offering connections for a washing machine and dryer, a utility sink, and space for an additional fridge. This room also provides access to the south-facing rear garden.

Next to the utility room is a spacious bedroom with air conditioning and an en-suite bathroom. This fully equipped bathroom features a bathtub with shower screen, toilet, and double washbasin — ideal as a master bedroom or for guests wanting ground-floor living. The entire ground floor is finished with beautiful natural stone flooring and underfloor heating for optimal comfort.

FIRST FLOOR
A spacious landing provides access to four generously sized bedrooms, all bright thanks to large windows. A separate toilet is also located on this floor. The luxurious bathroom features a broad dormer window and offers comfort with a bathtub, walk-in shower with glass screen, rain shower, hand shower, double washbasin, and underfloor heating.

SECOND FLOOR
A fixed staircase leads to the second floor with a landing featuring a built-in wardrobe housing the heat recovery system (WTW) and central heating boiler, with additional storage space. There are two further bedrooms, both with skylights and distinctive windows in the gable walls, adding character and natural light to these rooms.

GARDEN
The rear garden offers plenty of privacy thanks to mature planting and several trees. The south-facing garden is wonderfully sunny, with access to the side garden via double doors, providing a rear entrance. On the side, a charming decked terrace by the water offers a fantastic spot to enjoy peace and nature. The front garden features lawn, trees, and also borders the water.

FEATURES
? Beautiful waterside location, accessible via a private bridge
? No fewer than seven bedrooms and two fully equipped bathrooms
? Ground-floor bedroom with en-suite bathroom
? Luxurious kitchen-diner with high-end built-in appliances
? Deep, dry basement with full standing height
? Fully insulated and fitted with 29 solar panels
? Underfloor heating throughout the ground floor and upstairs bathroom
? Heated garage with electricity and skylight
? Electric vehicle charging point present
? Entire plot underpinned, except for a small lawn area in front and beside the garage
? Abundant natural light through large windows and smart layout
? Private, green rear garden with ample sunlight

A villa like this — offering so much space, comfort, and a unique waterside location — rarely comes onto the market. This is your chance to live every day as if you're on holiday!

Wilnis Location Overview
Amsterdam Zuidas – approx. 23-minute drive
Amsterdam city centre – approx. 32-minute drive
Amstelveen city centre – approx. 17-minute drive
Schiphol Airport – approx. 18-minute drive
Utrecht – approx. 23-minute drive
Hilversum – approx. 21-minute drive
Mijdrecht – approx. 3-minute drive
Uithoorn – approx. 7-minute drive
Woerden – approx. 16-minute drive

Interested in this property? Engage your own certified NVM purchasing agent immediately.
Your NVM purchasing agent represents your interests and saves you time, money, and worries.
Find addresses of fellow NVM purchasing agents in Utrecht on Funda.nl.

About Wilnis
Wilnis (located between Mijdrecht and Vinkeveen) is geographically situated in the heart of the Groene Hart (Green Heart) — approximately 20 minutes by car from Amsterdam, Hilversum, Utrecht, and Schiphol Airport. Within 45 minutes, you can reach The Hague, Amersfoort, or Alkmaar, offering an ideal location in the Netherlands.

Wilnis offers a variety of amenities, including a charming village centre, sports hall, sports clubs, a centrally located shopping centre, and several primary schools. The village has around 6,500 residents and is part of the municipality of De Ronde Venen. Since the last municipal reorganisation on January 1, 2011, the municipality consists of eight villages: Abcoude, Amstelhoek, Baambrugge, De Hoef, Mijdrecht, Vinkeveen, Waverveen, and Wilnis. De Ronde Venen is a green and water-rich area. Located within the Groene Hart, the municipality offers countless opportunities for recreation, leisure, and enjoying peace, space, and nature. Key facts about the municipality can be found on the Province of Utrecht's website.

Features

Solar panels
Air conditioning
Transfer of ownership
Asking Price
€ 1.195.000 k.k.
Status
beschikbaar
Acceptance
in overleg
Construction
Kind of house
Villa
Building type
vrijstaande woning
Construction period
2002
Energy rating
A+
Roof type
zadeldak
Bedrooms
7
Bathrooms
2
Surface Areas And Volume
Living Area
217 m2
Other indoor space
24 m2
Volume in cubic meters
850 m3
Plot Size
546 m2
Facilities
Mechanische ventilatie
Tv kabel
Buitenzonwering
Airconditioning
Jacuzzi
Rookkanaal
Dakraam
Zonnepanelen
Aan water
Aan rustige weg
Beschutte ligging
Baerz & Co Property Brochure

Brochure

Videos

Floor Plans

Makelaardij Van Brussel

Europalaan 159
2408 BK Alphen a/d Rijn

johan@makelaardijvanbrussel.nl
+31 172424724

www.makelaardijvanbrussel.nl

Information / Viewing request

Johan van Brussel profile image
Johan van Brussel
Real Estate Agent

Buying a Luxury Property in Wilnis

Wilnis attracts an international community of discerning residents, offering refined amenities and a peaceful lifestyle. With expert advisory services, exclusive properties, and cultural richness, Wilnis promises enduring appeal for sophisticated homeowners and investors.